城市发展观
关注

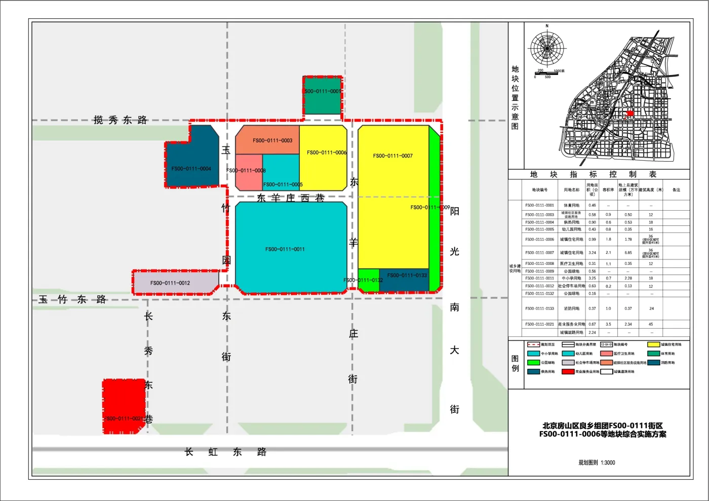
关于北京市房山区良乡组团FS00-0111街区FS00-0111-0006等地块规划综合实施方案的公示

关于北京市房山区良乡组团FS00-0111街区FS00-0111-0006等地块

规划综合实施方案的公示

(公示期限30天)

《北京市房山区良乡组团FS00-0111街区FS00-0111-0006等地块规划综合实施方案》已编制完成。根据《中华人民共和国城乡规划法》的有关规定,现对规划成果进行公示,听取公众意见。公示期限30天,从2023年5月25日至2023年6月23日。

用地位置:北京市房山区拱辰街道,良乡组团FS00-0111街区。

用地四至:东至阳光大街,南至长虹东路,西至玉竹园小区东侧墙,北至良乡东路。

建设用地面积:约14.79公顷(最终指标以钉桩成果为准)。

建筑规模:地上建筑规模约15.48万平方米(最终指标以审定方案为准)。

联系电话:81312716

北京市规划和自然资源委员会房山分局

2023年5月25日

附件:

编辑于2025-11-13 北京

投诉
#北京规划 #区域规划 #房山规划 #良乡规划
说点什么…