1/2
楼盘规划解码
关注

关于大兴区西红门镇集体经营性建设用地2号地2-002A地块项目规划设计方案的公示

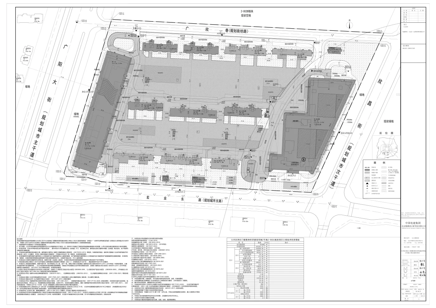
大兴区西红门镇集体经营性建设用地2号地2-002A地块项目位于大兴区西红门镇。用地:东至欣昌街,南至宏业东路,西至广阳大街,北至规划街坊路。

本项目建设单位为电建智汇(北京)运营管理有限公司,已完成设计方案编制,规划总用地面积82500平方米,规划总建筑面积约265265.53平方米,其中地上建筑面积约165000平方米。依据《北京市城乡规划条例》等有关法律规定,现将有关情况公示如下:

一、设计方案总平面图(详见附件)。

二、项目公示周期为7个工作日。

三、本次公示地点为本项目现场和北京市规划和自然资源委员会网站(http://ghzrzyw.beijing.gov.cn/)

四、公示期间,如有反馈意见,请在网站发表评论或直接向北京市规划和自然资源委员会大兴分局(地址:大兴区金华寺东路1号;联系电话:010-50911588转2)提交反馈意见。直接向大兴分局提交意见的个人应当签署真实姓名,住址及联系方式;组织或单位应加盖公章,注明联系人及联系方式。我分局将及时研究,并将采信结果在北京市规划和自然资源委网站进行通告。逾期不提交的,视为无意见。

编辑于2025-11-13 北京

投诉
#楼盘规划 #大兴区西红门镇集体经营性建设用地2号地2-002A地块 #北京楼市
说点什么…